Fishing done!!!

in #gems6 years ago

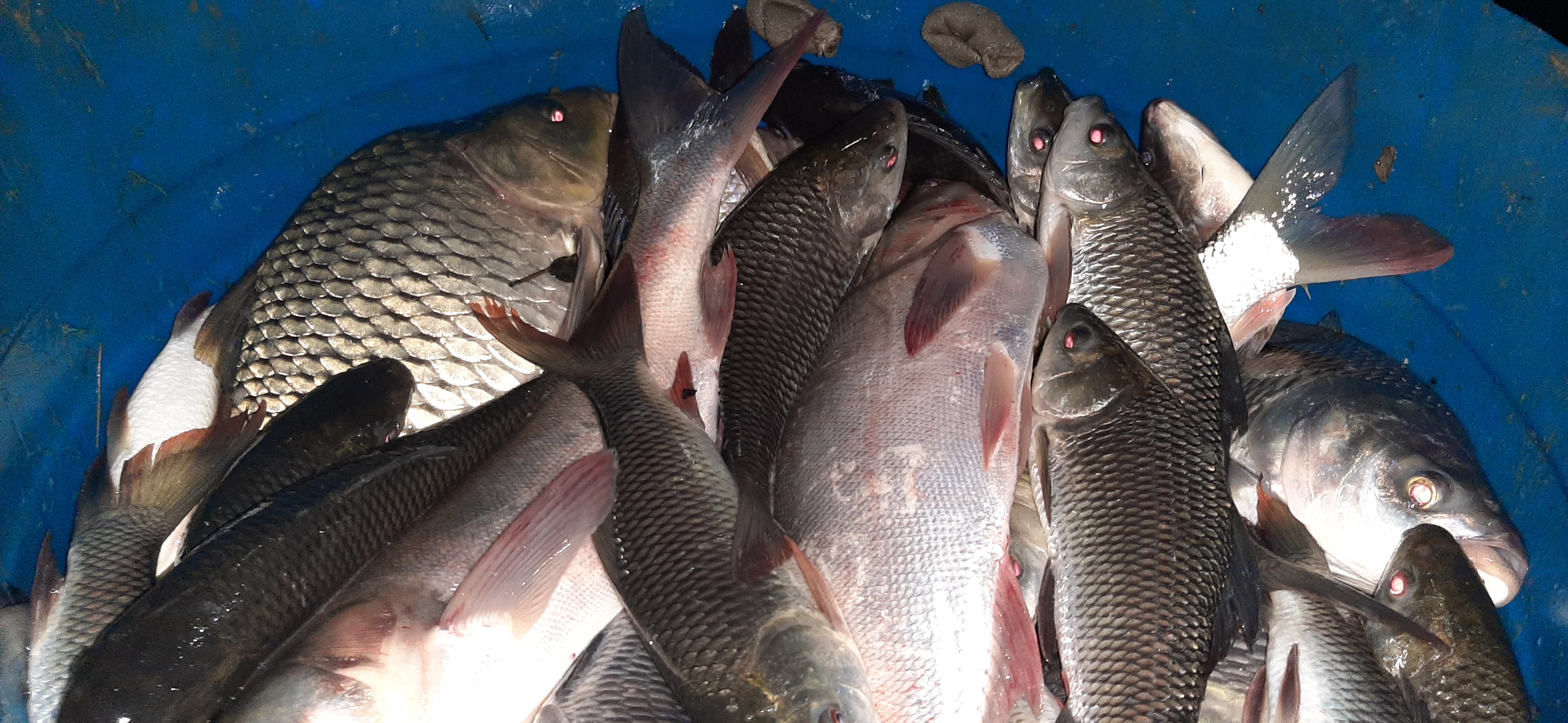
We did catch many fishes from our pond and sell them to the distribution company. Few of them we cooked and had at our lunch, delicious!!!

20200612_042929.jpg

20200612_042925.jpg

I couldn't able to take pictures of fishing as we had to do the fishing before sunrise. Usually people sell them to the nearest market early in the morning!
20200612_042920.jpg

20200612_042629.jpg

Thanks Everyone!

Sort:  

Congratulations, your post has been upvoted by @dsc-r2cornell, which is the curating account for @R2cornell's Discord Community.

Curated by @blessed-girl

r2cornell_curation_banner.png

Enhorabuena, su "post" ha sido "up-voted" por @dsc-r2cornell, que es la "cuenta curating" de la Comunidad de la Discordia de @R2cornell.